Duża działka budowlana z możliwością podziału Na sprzedaż

Koniecpol, Częstochowa, Śląskie
259 000 zł
39 zł / m²
  • Powierzchnia 6 700 m²

Opis nieruchomości

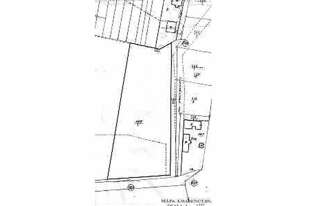
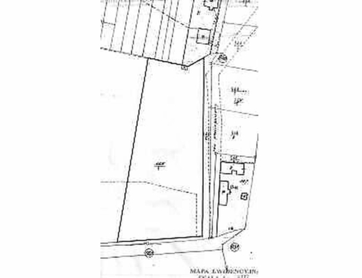
Sprzedam działkę budowlaną położoną w Koniecpolu, na ulicy Żeromskiego. Powierzchnia 6700 m², szerokość 63 metry.

Działka jest uzbrojona (kanalizacja na działce, woda i prąd w ulicy), można ją podzielić na np. 6 działek budowlanych lub wykorzystać w całości.

Spokojna okolica (las, woda) i jednocześnie blisko do centrum miasta.

Pokaż więcej

Liczba wyświetleń: 451

Lokalizacja

Najbliższe miasta:

  • Częstochowa – 1.4 km
  • Piekary Śląskie – 50.4 km
  • Bytom – 53.6 km
  • Siemianowice Śląskie – 54.4 km
  • Dąbrowa Górnicza – 54.9 km

Podobne nieruchomości